歡迎討論桃園市後站(大樹林區)的大小事

哇~中午經過那邊就看到在開挖..
是要蓋房嗎?哈!!!

知道的人應該不會去買那

牧雲殤 wrote:
.....知道的人應該不會去買那..(恕刪)


是因為之前是加油站嗎?
我是晨騎團的土豆==我是晨騎團的土豆==我是晨騎團的土豆==我是晨騎團的土豆==我是晨騎團的土豆==

idiot2 wrote:
我目前也是住後站.....(恕刪)


等整個高架完工實在太遙遠了,加上大型公共工程總是會有抗爭加延誤,
我悲觀的估計,10年內都無法完工。

不過倒是有一個可以先期待的,就是桃園臨時站,這個比較快可以看到。
原定今年底完工,目前已經暫定延到明年底完工。(隨便一延,就一年起跳)

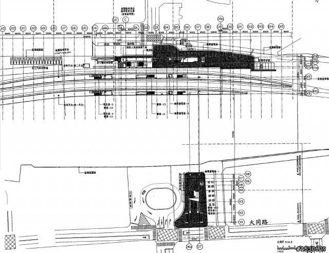
我曾經拿到部份設計圖,大家可以看一下南向立面圖 (面向後站)。
希望明年底可以真的完工,不要再延了。

(看到電梯和手扶梯字樣都快流淚了,這些小站都有的東西,桃園站終於也要有了)

(從平面圖可以看到,臨時站主體在後站,未來前站是從現在圓環右邊的人行道
開始搭手扶梯跨過舊車站+鐵軌進站。從後站進入,變得近很多)



nt92 wrote:
等整個高架完工實在太...(恕刪)


桃園臨時站前站後站都有出入口??

cking123 wrote:
桃園臨時站前站後站都...(恕刪)


從設計圖來看前後站都有出入口。

後站廣場有一部份會改成類似圓環,有接送區和臨時停車區。

今天下午要去New1代銷中心時,經過麥當勞旁工地.....赫然發現對面有一代銷中心即將完工??
就在自助洗車場旁,一棟白色的建築~~~~~~
馬上提起電話,得知是[樹仁三街]附近的建案在這開的場子!
想想,若真是[合瑞]的案子,我們就馬上下車~~~~~~~~~~~!!
跟大家講一下,我的消息是[合瑞]不會立即賣!他們正在.....慢慢的等價上揚!
少尉,

可是那塊地也是工業用地不是嗎?
後面有一塊地是要蓋汽車旅館的!!

是這樣的嗎?
牧雲殤 wrote:
少尉,可是那塊地也是...(恕刪)


哪一塊地?
麥當勞旁的是商業地!!
旁邊的大林路(公園的頭)也有一小塊地也圍起來了@
代銷也說,未來也要蓋!!~~
哪你指的「汽車旅館」在哪?
在樹仁三街比佛利靠近阿忠羊肉爐那...

牧雲殤 wrote:
在樹仁三街比佛利靠近阿忠羊肉爐那......(恕刪)


牧雲和少尉講的是不一樣的啦~~!!
我是晨騎團的土豆==我是晨騎團的土豆==我是晨騎團的土豆==我是晨騎團的土豆==我是晨騎團的土豆==
文章分享
評分
評分
複製連結
請輸入您要前往的頁數(1 ~ 28)

今日熱門文章 網友點擊推薦!